Radio Hit
Asculta Live
 

HIT play live

Green Arrow

Primăria Iași a lansat licitația pentru drumul provizoriu care va lega Buciumul de zona centrală

  • iulie 02, 2025
  • Diana Nechita

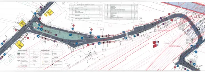
Primăria Iași a lansat licitația pentru amenajarea alternativei de trafic în perioada lucrărilor la pasajul Socola. Valoarea estimată a contractului este de 7,7 milioane lei. Odată ce va fi contractat un constructor, lucrările ar urma să se desfășoare pe o perioadă de 4 luni.

Lungimea traseului este de 1,4 km și implică realizarea unei treceri la nivel de cale ferată. Realizarea alternativei de trafic presupune și modernizarea parțială a str. Trei Fântâni (335 metri). Pe această stradă va fi amenajată o bandă suplimentară, cu excepția unei zone de 50 m din dreptul intersecției cu drumul de acces către rampa CF (un stâlp de înaltăm tensiune limitează posibilitatea de extindere).

Descrierea lucrărilor

  • strada Trei Fântâni – lungime traseu studiat 335 ml. Prin soluția propusă se introduce a treia bandă suplimentară, excepție făcând sectorul de 50 ml din dreptul intersecției cu drumul de acces către rampa CF, unde stâlpul de înaltă tensiune limitează posibilitatea de extindere. Pe acest sector de stradă se renunță la trotuarul de pe partea stângă în scopul lărgirii părții carosabile. Lățimea carosabilă va avea valori cuprinse între 7,00 și 10,50 m.
  • Drum acces rampa CF – lungime traseu studiat 325 ml. Tronsonul studiat asigură legătura între strada Trei Fântâni și liniile CF Iași–Ungheni. Acest tronson este separat de o linie de cale ferată industrială dezafectată, amplasată într-un scuar de spațiu verde. Linia de cale ferată se întrerupe în dreptul intersecției cu strada Trei Fântâni. În soluția proiectată, drumul de acces către rampa CF va fi reabilitat cu menținerea configurației actuale. Drumul de acces va avea 2 benzi, sens unic str. Trei Fântâni → Gara Socola, iar o bretea de 145 ml va avea sens unic invers, separată fizic prin scuarul cu linia CF abandonată
  • Trecere la nivel peste 13 linii de cale ferată – se va realiza prin montarea de dale interioare și exterioare, precum și amenajare drum de acces (inclusiv între liniile CF). Lungimea totală: 100 ml; lățimea carosabilului: 7,00 m (2 benzi de 3,00 m) și 2 acostamente de 1,0 m
  • Strada Mihai Sturza – modernizare pe 525 ml, circulație cu 2 benzi (6,00 m lățime totală), sens unic Gara Socola → Strada Bucium. Trotuarul va fi doar pe partea dreaptă, în dreptul blocurilor, cu lățime variabilă între 1,00 – 1,50 m.
  • Legătura dintre strada Bucium și bulevardul Socola – amenajată prin marcaje și semnalizare verticală.